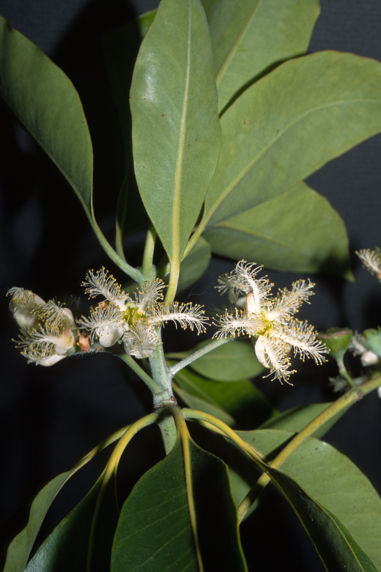
Lophostemon confertus

Date
June 23, 2003
Media Format
Photographer
Lophostemon confertus

Location Information

Place Name
Country:
United States
State:
California
County:
City:
Santa Barbara
Specific Location
NW corner, W Alameda Plaza

Plant Information

Plant(s) Pictured
Primary Plant Part

Image & Format Details

Decade
Photo Orientation
Image & Format Tags
Index Number
SL_13703